最新釣果情報– category –
-
最新釣果情報
3月27日の釣果情報です。
【釣り人】稲沢市 小久保 貴章さん 【釣 果】アカハタ 19cm~29cm 6匹 ガシ 2匹 【釣り方】ルアー釣り 【水 温】17.1度 【海 上】多少波 【 潮 】下り・遅い 【釣り人】橿原市 畠山... -
最新釣果情報
3月26日の釣果情報です。
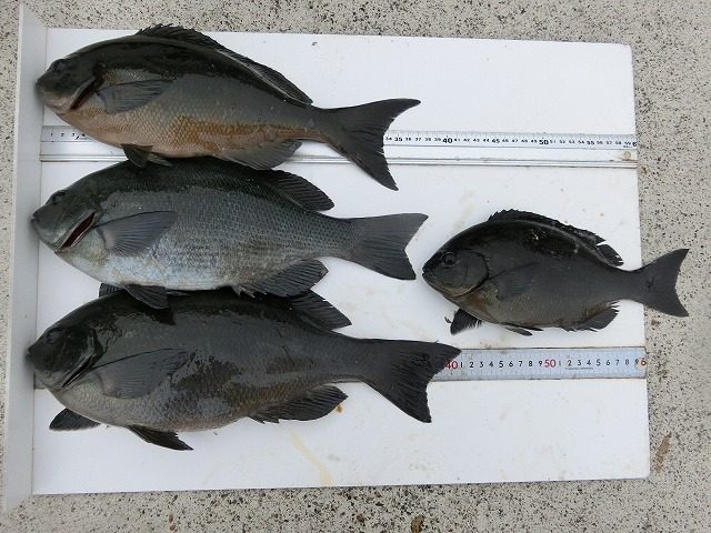
【釣り人】神戸市 高橋保洋さん 【釣 果】ぐれ 24cm~29cm 5匹 【釣り方】フカセ釣り 【水 温】17.1度 【海 上】ナギ 【 潮 】上り・遅い 【釣り人】橿原市 畠山さん 【釣 果】ぐれ 34cm~37.5cm 3匹 ... -
最新釣果情報
3月25日の釣果情報です。
【釣り人】高槻市 西里政良さん 【釣 果】ぐれ 28cm~41cm 2匹 尾長 30cm~37.5cm 2匹 【釣り方】フカセ釣り 【水 温】17.1~17.3度 【海 上】ナギ 【 潮 】上り・遅い 【釣り人】和泉市 山本郁... -
最新釣果情報
3月24日の釣果情報です。
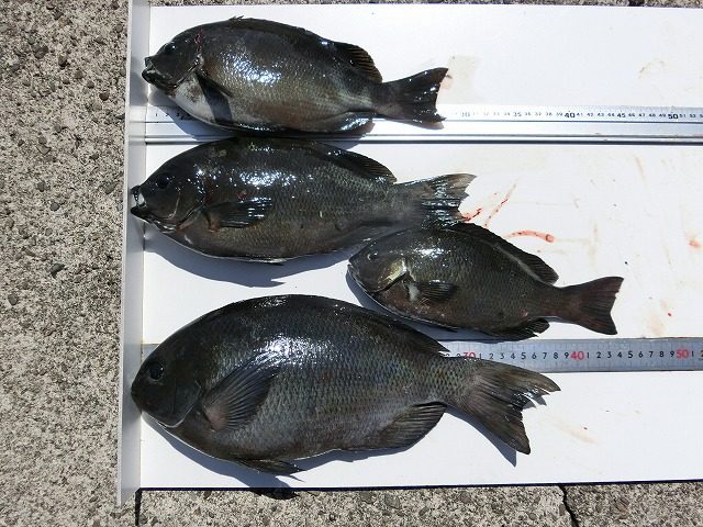
磯城郡 宮本 翼さん ルアー釣りでワラサ掛けましたが、手前で針ハズレ !! 【釣り人】神戸市 高橋保洋さん 【釣 果】ぐれ 26cm~39cm 2匹 【釣り方】フカセ釣り 【水 温】度 【海 上】ナギ 【 潮 】上り・遅い... -
最新釣果情報
3月23日の釣果情報です。
【釣り人】和泉市 山本郁夫さん 【釣 果】ぐれ 33.5cm 1匹 メバル 31.5cm 1匹 イサキ 2匹 【釣り方】カゴ釣り 【水 温】16.3度 【海 上】ナギ 【 潮 】下り・速い 【釣り人... -
最新釣果情報
3月22日の釣果情報です。
【釣り人】河内長野市 木村 心さん 【釣 果】オオモンハタ 34cm~48cm 2匹 ガシ 23cm~25cm 2匹 【釣り方】エサ釣り 【水 温】16.3度 【海 上】高波 【 潮 】下り・速い -
最新釣果情報
3月20日の釣果情報です。
【釣り人】稲沢市 小久保 貴章さん 【釣 果】アカハタ 34cm 1匹 ガシ 21.5cm~30cm 2匹 オニオコゼ 22cm 1匹 【釣り方】ルアー釣り 【水 温】16.3度 【海 上】高波 【 潮 】下り・速い  ... -
最新釣果情報
3月18日の釣果情報です。
【釣り人】南牟婁郡 久保さん 【釣 果】ぐれ 26cm~38cm 4匹 【釣り方】フカセ釣り 【水 温】16.3度 【海 上】ナギ 【 潮 】上り・遅い
