最新釣果情報– category –
-
最新釣果情報
4月9日の釣果情報です。
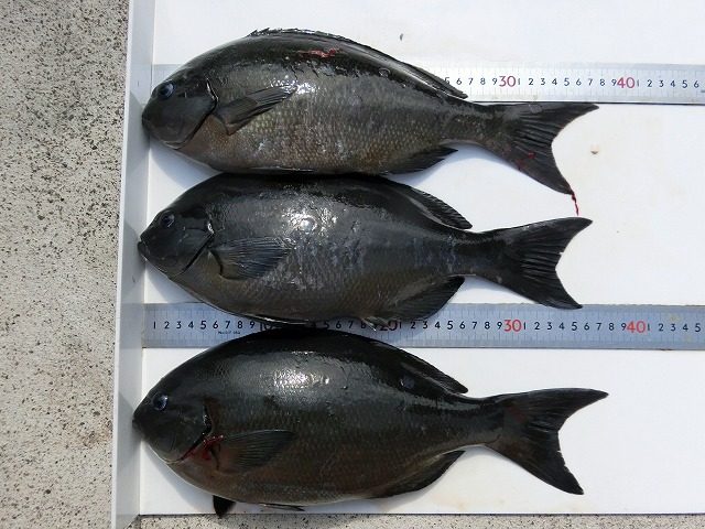
【釣り人】四条畷市 山岡三郎さん 【釣 果】ぐれ 37.7cm 1匹 【釣り方】フカセ釣り 【水 温】27.4度 【海 上】ナギ 【 潮 】上り・遅い -
最新釣果情報
4月8日の釣果情報です。
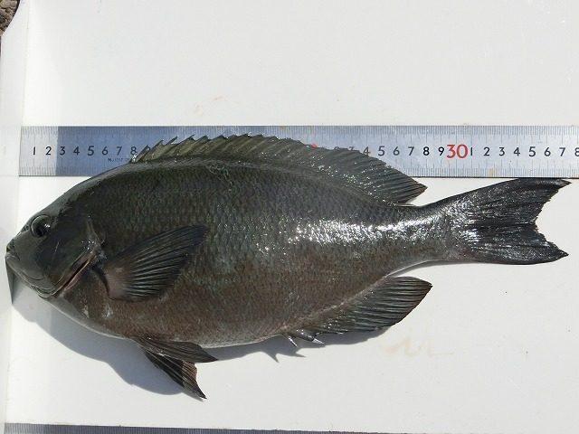
【釣り人】高槻市 西里政良さん 【釣 果】ぐれ 34cm~38cm 9匹 【釣り方】フカセ釣り 【水 温】17.4度 【海 上】多少波~ナギ 【 潮 】上り・遅い 【釣り人】橿原市 高松勇治さん 【釣 果】オオモンハタ 36cm 1匹 ... -
最新釣果情報
4月7日の釣果情報です。
【釣り人】東大阪市 池田さん 【釣 果】ワラサ 70cm 1匹 【釣り方】ルアー釣り 【水 温】17.1~18.0~17.5度 【海 上】高波~多少波 【 潮 】上り・遅い 【釣り人】八尾市 原山輝二さん 【釣 果】ぐれ 36cm... -
最新釣果情報
4月6日の釣果情報です。
【釣り人】掛川市 山下さん 【釣 果】ヒラスズキ 51cm 1匹 【釣り方】ルアー釣り 【水 温】17.1度 【海 上】多少波 【 潮 】上り・遅い 【釣り人】春日井市 黒澤大介さん 【釣 果】ヒラスズキ 44.5cm 1匹 【釣り方... -
最新釣果情報
4月3日の釣果情報です。
【釣り人】富田林市 武田陣弥さん 【釣 果】アカハタ 20cm~23.5cm 4匹 【釣り方】エサ釣り 【水 温】17.1度 【海 上】ナギ 【 潮 】遅い -
最新釣果情報
4月1日の釣果情報です。
【釣り人】橿原市 堀川達也さん ぐれ、30cm以上は初めてでした。自己新記録 40.5cm 【釣 果】ぐれ 40.5cm 1匹 尾長 36cm 1匹 カワハギ 1匹 【釣り方】フカセ釣り 【水 温】16.8度 【海 上... -
最新釣果情報
3月30日の釣果情報です。
出船時間のお知らせ !! 4月1日から、午前 4時 45分までに、港まで来て下さい。 午前 5時20分に、出船しますのでヨロシクお願いします。 【釣り人】高槻市 大塚順平さん 【釣 果】尾長 37cm~38cm 3匹 【釣り方】フカセ釣り 【水 温】1... -
最新釣果情報
3月29日の釣果情報です。
【釣り人】奈良市 谷奥哲彦さん 【釣 果】ぐれ 25cm~33.5cm 5匹 アカハタ 34cm 1匹 【釣り方】フカセ釣り 【水 温】17.1度 【海 上】ナギ 【 潮 】遅い 【釣り人】富田林市 松村隆寛さん 【釣 果...
