最新釣果情報– category –
-
最新釣果情報
4月23日の釣果情報です。
【釣り人】南牟婁郡 阪口記生さん 【釣 果】イシガキ 37cm~39cm 3匹 【釣り方】底物釣り 【釣り人】奈良市 橋本幸男さん 【釣 果】イガミ 40.5cm 1匹 【釣り方】底物釣り 【釣り人】八尾市 中村充男さん 【釣 果】... -
最新釣果情報
4月22日の釣果情報です。
【釣り人】高槻市 西里政良さん 【釣 果】ぐれ 38cm~39.5cm 2匹 【釣り方】フカセ釣り 【水 温】18.8度 【海 上】ナギ 【 潮 】上り~下り・遅い 【釣り人】橿原市 畠山さん 【釣 果】石鯛 42.2cm 1匹 【釣... -
最新釣果情報
4月21日の釣果情報です。
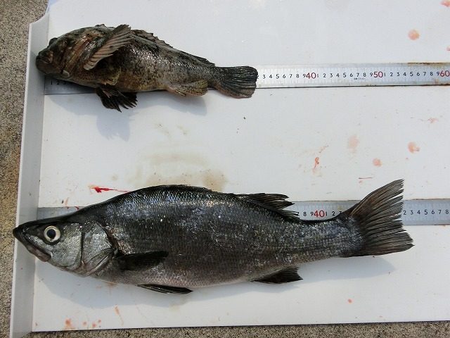
シイラ、回遊中 !! 【釣り人】春日井市 黒澤大介さん 【釣 果】ヒラスズキ 51cm 1匹 ソイ 32cm 1匹 【釣り方】ルアー釣り 【水 温】18.3~18.8度 【海 上】多少波~ナギ 【 潮 】上り・下り・遅い~... -
最新釣果情報
4月20日の釣果情報です。
【釣り人】香芝市 田中 亨さん 朝一、青物に切られました。 【釣 果】真鯛 72cm 1匹 【釣り方】カゴ釣り 【水 温】18.3度 【海 上】高波~多少波 【 潮 】上り・遅い 【釣り人】生駒市 西村賢次さん 【釣... -
最新釣果情報
4月17日の釣果情報です。
4月17日、18日、19日は、ペンキ塗りの為お休みでした。 4月20日から、出船しています。 -
最新釣果情報
4月16日の釣果情報です。
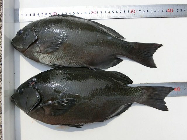
西里政良さん、尾長 47cm前後の尾長を、水面まで浮かしましたが、針ハズレ。 【釣り人】高槻市 西里政良さん 【釣 果】尾長 40cm~47cm 3匹 尾長 47cm 自己新記録 尾長 31cm~34cm 2匹 ぐれ ... -
最新釣果情報
4月14日の釣果情報です。
【釣り人】草津市 荒銭浩太郎さん 【釣 果】アカハタ 28cm 1匹 キジハタ 36.8cm 1匹 【釣り方】ルアー釣り 【水 温】17.5度 【海 上】多少波 【 潮 】下り・遅い 【釣り人】大阪市 中廣敬之さん ... -
最新釣果情報
4月13日の釣果情報です。
【釣り人】大阪市 大森 出さん 【釣 果】石鯛 36cm 1匹 【釣り方】カゴ釣り 【水 温】17.5度 【海 上】高波 【 潮 】上り・下り・遅い 【釣り人】五條市 吉田康記さん 【釣 果】ぐれ 30cm~36cm 2匹 ...
