最新釣果情報– category –
-
最新釣果情報
5月2日の半夜・通し釣り、釣果情報です。
【釣り人】寝屋川市 森 顕さん 通し釣り 【釣 果】尾長 44cm 1匹 尾長44cm、自己新記録 !! 尾長 26.7cm~36cm 3匹 【釣り方】フカセ釣り 【水 温】19.0度 【海 上】多少波 【 潮 】下り・遅い ... -
最新釣果情報
5月2日の釣果情報です。
【釣り人】香芝市 近藤佑紀さん 3人で。 【釣 果】シイラ 80cm~90cm 20匹 4匹 持ち帰り、後は全部リリースしました。 【釣り方】ルアー釣り 【水 温】18.5~190度 【海 上】高波 【 潮 】上り・遅い 【釣... -
最新釣果情報
5月1日の釣果情報です。
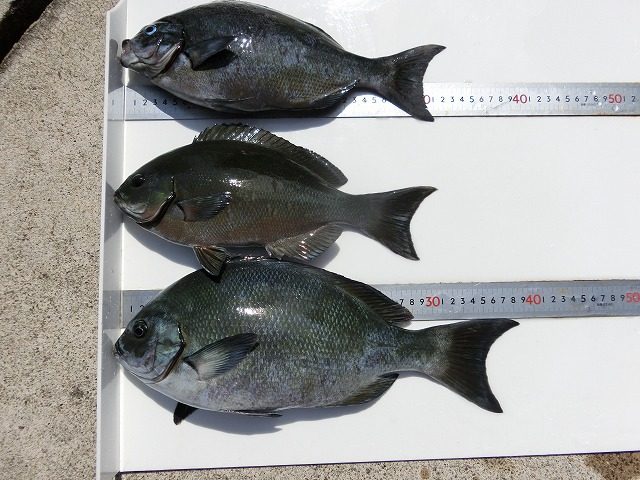
【釣り人】大阪市 岡崎秀之さん 【釣 果】ぐれ 42.5cm 1匹 コッパ 8匹 【釣り方】フカセ釣り 【水 温】18.3度 【海 上】高波 【 潮 】上り・遅い 【釣り人】大阪市 藤山 登さん 【釣 果】ぐ... -
最新釣果情報
4月30日の釣果情報です。
高波の為、お休みしました。 -
最新釣果情報
4月29日の釣果情報です。
【釣り人】名古屋市 越 景介さん 3人で。 【釣 果】シイラ 60cm~70cm 30匹 4匹 持ち帰り、後は全部リリースしました。 【釣り方】ルアー釣り 【水 温】18.4度 【海 上】多少波 【 潮 】上り・速い 【釣り... -
最新釣果情報
4月28日の釣果情報です。
今日は、朝一からシイラ 入れ食い !! 【釣り人】瑞穂市 塚谷浩嘉さん 一つのルアーに、2匹掛かりが2回有りました。 【釣 果】シイラ 60cm~90cm 20匹以上 2匹 持ち帰り、後は全部リリースしました。 【釣り方】ルアー釣り ... -
最新釣果情報
4月27日の釣果情報です。
出船時間のお知らせ !! 4月28日から、午前 4時 20分までに、港まで来て下さい。 午前 4時50分に、出船しますのでヨロシクお願いします。 船長。 【釣り人】東大阪市 後藤昌弘さん 3人で。 朝一、青物バラシがありました。 ... -
最新釣果情報
4月26日の釣果情報です。
ルアーマン1名、シイラが沢山いましたが、ルアーに掛からず。 一回、バラシだけでした。 【釣り人】神戸市 高橋保洋さん 【釣 果】ぐれ 31cm~38.7cm 3匹 【釣り方】フカセ釣り 【水 温】18.8度 【海 上】高波 【 潮 】下...
