最新釣果情報– category –
-
最新釣果情報
7月5日の釣果情報です。
【釣り人】岐阜市 木村正幸さん 【釣 果】カワハギ 1匹 アイゴ 2匹 イガミ 34cm~39cm 2匹 サンノジ 47cm 1匹 【釣り方】ズボ釣り 【水 温】 【海 上】... -
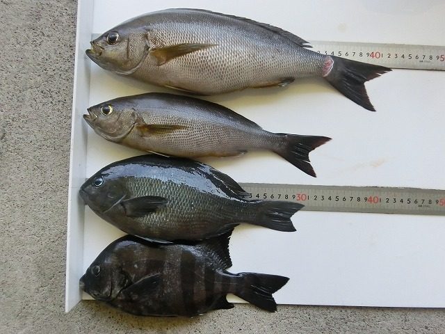
最新釣果情報
6月29日の釣果情報です。
【釣り人】東大阪市 西川英俊さん 【釣 果】イサキ 34cm~42.7cm 2匹 ぐれ 30.5cm 1匹 サンバソ 1匹 【釣り方】フカセ釣り 【水 温】 【海 上】南の風、高波 【 潮 】... -
最新釣果情報
7月2日、3日、5日、第五十一滉基丸の釣果情報です。
7月2日、3日、5日、第五十一滉基丸の釣果情報です。 7月2日、活き餌釣り便 キハダマグロ、20㌔~35㌔ 16本 !! メバチマグロ、 30㌔ 1本 !! 7月3日、活き餌釣り便 キハダマグロ 18㌔~26㌔ 6本 !! 午前中だけで満足... -
最新釣果情報
6月26日の釣果情報です。
【釣り人】稲沢市 小久保 貴章さん 【釣 果】アカハタ 24.2cm~26.2cm 6匹 ガシ 1匹 【釣り方】ルアー釣り 【水 温】23.6~24.4度 【海 上】ナギ 【 潮 】上り・速い 【釣り人】柏... -
最新釣果情報
6月23日の釣果情報です。
【釣り人】一宮市 木村道生さん 【釣 果】アカハタ 30.5cm 1匹 【釣り方】ルアー釣り 【水 温】23.1度 【海 上】高波 【 潮 】上り・速い 【釣り人】海部郡 森 陽介さん 【釣 果】アカハタ 2匹 ガシ ... -
最新釣果情報
6月22日の釣果情報です。
【釣り人】神戸市 大橋弘卓さん、加古川市 橋本 剛さん 【釣 果】アカハタ 22cm~29cm 8匹 【釣り方】ルアー釣り・餌釣り 【水 温】23.1度 【海 上】ナギ~多少波 【 潮 】上り・速い 【釣り人】松阪市 中野幸... -
最新釣果情報
6月21日の釣果情報です。
【釣り人】生駒郡 村田耕二郎さん 【釣 果】シイラ 1匹 シイラ、デカバン バラシがありました。 ツバス 【釣り方】ルアー釣り 【釣り人】富田林市 松村隆寛さん 【釣 果】イサキ 29cm~31.5cm 3匹 ... -
最新釣果情報
6月20日の釣果情報です。
【釣り人】堺市 久米真仁さん、河内長野市 木村 悟さん 【釣 果】アカハタ 23cm~34cm 5匹 ガシ 5匹 ぐれ 47cm 1匹 ぐれは、豚の背脂で釣れました。 【釣り方】ルアー釣...
