最新釣果情報– category –
-
最新釣果情報
1月 15日の釣果情報です。
【釣り人】大阪市 川本裕一さん【釣 果】ぐれ 34.7cm~41cm 2匹 尾長 27cm~28.5cm 2匹【釣り方】フカセ釣り 【水 温】17.9~18.0度 【海 上】ナギ 【 潮 】下り・遅い 【釣り人】松原市 川本健人さん【釣 ... -
最新釣果情報
1月 14日の釣果情報です。
【釣り人】神戸市 高橋保洋さん【釣 果】ぐれ 35cm~37cm 3匹 【釣り方】フカセ釣り【水 温】17.9度 【海 上】ナギ 【 潮 】下り・遅い 【釣り人】和泉の山ちゃん 【釣 果】カワハギ 36cm~30cm 2匹 ... -
最新釣果情報
1月 13日の釣果情報です。
【釣り人】神戸市 高橋保洋さん【釣 果】ぐれ 33cm~39.5cm 4匹 【釣り方】フカセ釣り【水 温】17.9度 【海 上】ナギ 【 潮 】下り・遅い -
最新釣果情報
1月 12日、天気が悪い為、お休みしました。
天気が悪い為、お休みしました。 -
最新釣果情報
1月 11日の釣果情報です。
【釣り人】神戸市 高橋保洋さん【釣 果】尾長 31cm~34cm 3匹 ぐれ 33cm~37cm 5匹 【釣り方】フカセ釣り【水 温】17.9度 【海 上】ナギ 【 潮 】下り・遅い 【釣り人】寝屋川市 森 顕さん【釣 果】... -
最新釣果情報
1月 10日の釣果情報です。
【釣り人】北葛城郡 年財孝芳さん【釣 果】尾長 27.5cm~29cm 2匹 【釣り方】フカセ釣り 【水 温】18.0度 【海 上】ナギ 【 潮 】下り・速い 【釣り人】門真市 織田淳一さん【釣 果】ぐれ 33cm 1匹【釣り方】フカ... -
最新釣果情報
1月 9日の釣果情報です。
強風の中、頑張ってくれました。 【釣り人】堺市 和田康孝さん【釣 果】ぐれ 34.5cm~36cm 3匹 イガミ 44cm 1匹【釣り方】フカセ釣り 【水 温】17.9度 【海 上】ナギ・西の風強風 【 潮 】下り・速い ... -
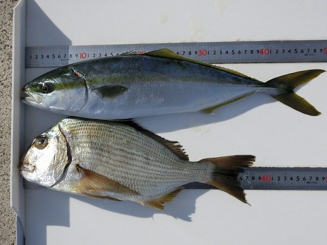
最新釣果情報
1月 8日の釣果情報です。
【釣り人】橿原市 畠山さん 強風の中、頑張ってくれました。【釣 果】ハマチ 50cm 1匹 ヘダイ 38.5cm 1匹 【釣り方】フカセ釣り【水 温】18.4度 【海 上】ナギ・西の風強風 【 潮 】下り・速い
