最新釣果情報– category –
-
最新釣果情報
3月22日の釣果情報です。
【釣り人】小牧市 豊田幸輔さん【釣 果】ヒラスズキ 51cm 1匹 アカハタ 27.5cm~28cm 5匹【釣り方】ルアー釣り【水 温】17.9度 【海 上】高波 【 潮 】下り・遅い -
最新釣果情報
3月21日の釣果情報です。
海上が大荒れの為、お休みしました。 -
最新釣果情報
3月20日の釣果情報です。
【釣り人】大阪市 松井敏之さん【釣 果】ぐれ 32cm~49cm 3匹 【釣り方】フカセ釣り 【水 温】17.8度 【海 上】ナギ 【 潮 】上り・遅い 【釣り人】交野市 古川弘章さん【釣 果】ぐれ 33cm~40.3cm 8匹【釣り方】... -
最新釣果情報
3月19日の釣果情報です。
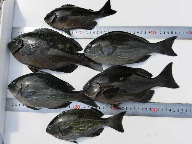
【釣り人】磯城郡 宮本 翼さん 【釣 果】ぐれ 29cm~35cm 2匹 尾長 26cm 1匹 【釣り方】フカセ釣り【水 温】17.5~17.8度 【海 上】ナギ 【 潮 】上り・遅い 【釣り人】大阪市 大城秀雄さん... -
最新釣果情報
3月18日の釣果情報です。
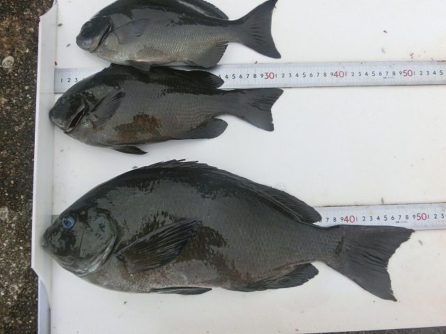
【釣り人】富田林市 松村隆寛さん【釣 果】ぐれ 33.5cm~42.4cm 4匹 【釣り方】フカセ釣り【水 温】17.5度 【海 上】ナギ 【 潮 】上り・遅い -
最新釣果情報
3月 17日の釣果情報です。
【釣り人】名古屋市 箕澤啓太さん 【釣 果】メジロ 65cm 1匹 ブリ、バラシがありました。 【釣り方】ルアー釣り【水 温】17.5度 【海 上】ナギ 【 潮 】下り・遅い 【釣り人】紀宝町 福林慎一さん【釣... -
最新釣果情報
3月 16日の釣果情報です。
【釣り人】枚方市 岡南次郎さん【釣 果】ぐれ 28cm 1匹 尾長 26cm 3匹 【釣り方】フカセ釣り 【水 温】17.4度 【海 上】ナギ 【 潮 】上り・遅い 【釣り人】南牟婁郡 阪口記生さん【釣 果】... -
最新釣果情報
3月 15日の釣果情報です。
【釣り人】橿原市 真川成紀さん【釣 果】ぐれ 39.7cm 1匹 尾長 26.5cm~32cm 9匹 【釣り方】フカセ釣り【水 温】17.5度 【海 上】ナギ 【 潮 】下り~上り・遅い 【釣り人】高槻市 西里政良...
