最新釣果情報– category –
-
最新釣果情報
3月31日の釣果情報です。
【釣り人】亀岡市 大西啓文さん【釣 果】アオリイカ 2ハイ 【釣り方】ヤエン釣り【水 温】17.8度 【海 上】高波 【 潮 】下り・遅い 【釣り人】和泉の山ちゃん 【釣 果】ぐれ 38cm 1匹【釣り方】フカセ... -
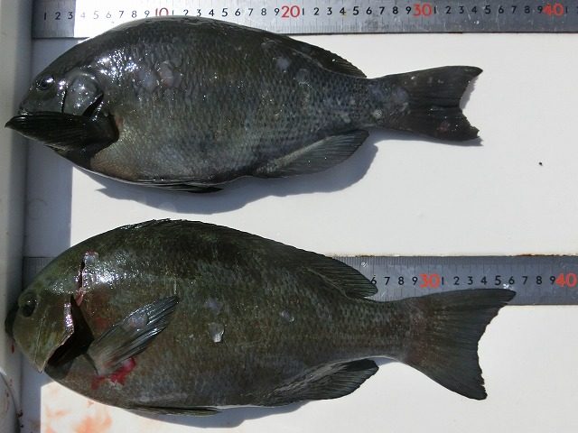
最新釣果情報
3月30日の釣果情報です。
【釣り人】豊橋市 萩原 晋さん【釣 果】ぐれ・尾長 25cm~33cm 6匹 【釣り方】フカセ釣り【水 温】17.8度 【海 上】高波 【 潮 】上り・遅い -
最新釣果情報
3月28日の釣果情報です。
28日、29日は、大荒れの為お休みにしました。 -
最新釣果情報
3月27日の釣果情報です。
【釣り人】香芝市 山本敦史さん【釣 果】ヒラスズキ 58cm 1匹 【釣り方】ルアー釣り【水 温】17.9度 【海 上】ナギ 【 潮 】上り・遅い 【釣り人】大阪市 松井敏之さん【釣 果】ぐれ 36cm~39.5cm 2匹 ... -
最新釣果情報
3月26日の釣果情報です。
【釣り人】匿名希望さん【釣 果】ヒラスズキ 61cm~62cm 2匹 【釣り方】ルアー釣り【水 温】17.9度 【海 上】多少波 【 潮 】上り・遅い 【釣り人】東大阪市 田中良明さん【釣 果】尾長 24.5cm~34cm 5匹 【釣り方】... -
最新釣果情報
3月25日の釣果情報です。
【釣り人】大阪市 藤本義男さん【釣 果】ぐれ 29.5cm~38.5cm 3匹 イサキ 43cm 1匹 チヌ 41cm 1匹 【釣り方】フカセ釣り【水 温】17.6度 【海 上】高波 【 潮 】下り・遅い -
最新釣果情報
3月24日の釣果情報です。
【釣り人】奈良市 大久保喜夫さん 【釣 果】ぐれ 39cm 1匹 尾長 22cm~29cm 4匹 【釣り方】フカセ釣り【水 温】17.5度 【海 上】多少波 【 潮 】上り・速い -
最新釣果情報
3月23日の釣果情報です。
【釣り人】大阪市 大城秀雄さん 【釣 果】ぐれ 35cm~36.5cm 2匹 【釣り方】フカセ釣り【水 温】17.5~17.8度 【海 上】ナギ 【 潮 】上り・遅い 【釣り人】八尾市 浅野文亮さん【釣 果】尾長 24cm~33.5cm 11...
