最新釣果情報– category –
-
最新釣果情報
4月 13日の釣果情報です。
13日14日は、高波の為お休みにしました。 -
最新釣果情報
4月 11日の釣果情報です。
【釣り人】四日市市 千々千 将太さん 初の真鯛を、釣りました。【釣 果】真鯛 30.2cm 1匹【釣り方】カゴ釣り 【水 温】18.0度 【海 上】高波 【 潮 】下り・速い フカセ釣りのお客さんは、尾長 30cmまででした。 -
最新釣果情報
4月 10日の釣果情報です。
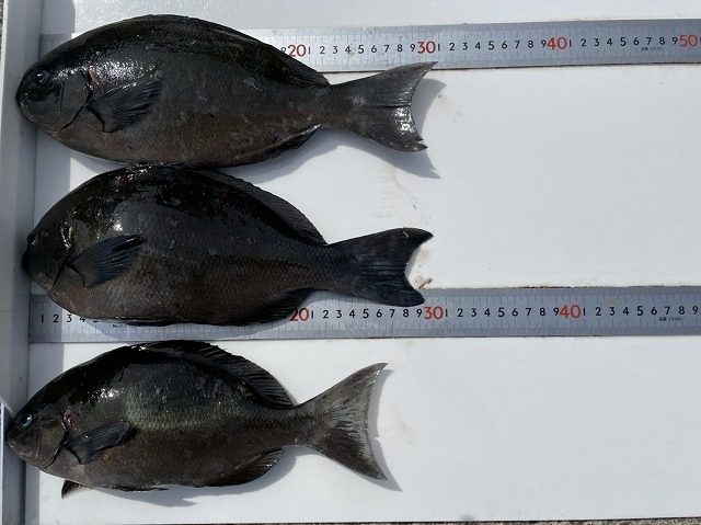
【釣り人】奈良市 柳 めぐみさん 高波の中、頑張ってくれました。【釣 果】イサキ 32cm~40.5cm 2匹 尾長 26cm~33.2cm 8匹【釣り方】フカセ釣り【水 温】17.9度 【海 上】多少波~高波 【 潮 】上り・速い &... -
最新釣果情報
4月 9日の釣果情報です。
【釣り人】茨木市 押立 悟さん 【釣 果】尾長 27cm~30.7cm 3匹 【釣り方】フカセ釣り 【水 温】18.0度 【海 上】ナギ 【 潮 】上り・速い -
最新釣果情報
4月 8日の釣果情報です。
【釣り人】神戸市 高橋保洋さん【釣 果】ぐれ 29.5cm~34cm 3匹 尾長 25cm~27cm 4匹 【釣り方】フカセ釣り【水 温】18.0度 【海 上】多少波 【 潮 】上り・遅い -
最新釣果情報
4月 5日の釣果情報です。
【釣り人】奈良 村田さん【釣 果】ヒラスズキ 68cm 1匹 【釣り方】ルアー釣り【水 温】17.9度 【海 上】多少波 【 潮 】上り・遅い -
最新釣果情報
4月 2日の釣果情報です。
【釣り人】枚方市 岡南次郎さん【釣 果】チヌ 45.5cm 1匹 尾長 5匹 【釣り方】フカセ釣り【水 温】17.8度 【海 上】高波 【 潮 】上り・遅い -
最新釣果情報
4月 1日の釣果情報です。
【釣り人】東牟婁郡 楠原規利さん 【釣 果】ぐれ 30cm~39.5cm 3匹 尾長 27cm~34.5cm 4匹 【釣り方】フカセ釣り【水 温】17.8度 【海 上】高波 【 潮 】上り・速い
