最新釣果情報– category –
-
最新釣果情報
5月 1日の釣果情報です。
【釣り人】川西市 松尾 優さん【釣 果】ヒラスズキ 54cm~55cm 2匹 【釣り方】ルアー釣り【水 温】17.5度 【海 上】南の波高波 【 潮 】上り・遅い 【釣り人】橿原市 堀川達也さん 【釣 果】ぐれ 39cm 1匹 ... -
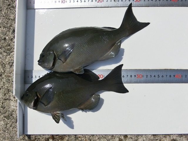
最新釣果情報
4月 30日の釣果情報です。
【釣り人】生駒市 西村賢次さん【釣 果】ぐれ 30cm~35cm 3匹 尾長 28cm 5匹 【釣り方】フカセ釣り【水 温】17.6度 【海 上】南の波高波ウネリ大 【 潮 】上り・速い -
最新釣果情報
4月 24日の釣果情報です。
【釣り人】大阪市 松井敏之さん【釣 果】ぐれ 29cm~41cm 5匹 【釣り方】フカセ釣り【水 温】17.8度 【海 上】高波 【 潮 】上り・遅い -
最新釣果情報
4月 21日の釣果情報です。
【釣り人】和泉の山ちゃん 【釣 果】イサキ 38cm 1匹【釣り方】カゴ釣り 【水 温】18.0度 【海 上】多少波 【 潮 】上り・速い 【釣り人】新宮市 垣内利夫さん 【釣 果】尾長 27cm~33cm 2匹 【釣り方】フカセ釣り &... -
最新釣果情報
4月 20日の釣果情報です。
【釣り人】大阪市 大城秀雄さん 【釣 果】尾長 27cm~31cm 2匹 【釣り方】フカセ釣り【水 温】17.8度 【海 上】多少波 【 潮 】上り・遅い -
最新釣果情報
4月 19日の釣果情報です。
【釣り人】大阪市 小松明夫さん【釣 果】アオリイカ 4ハイ 【釣り方】ヤエン釣り【水 温】17.5度 【海 上】多少波 【 潮 】上り・遅い -
最新釣果情報
4月 16日の釣果情報です。
【釣り人】神戸市 高橋保洋さん 雨・高波の中、懸命に頑張ってくれました。【釣 果】尾長 33cm~40cm 2匹 【釣り方】フカセ釣り【水 温】18.0度 【海 上】高波 【 潮 】上り・遅い -
最新釣果情報
4月 15日の釣果情報です。
【釣り人】神戸市 高橋保洋さん【釣 果】ぐれ 34.5cm 1匹 尾長 24cm~29cm 2匹 【釣り方】フカセ釣り【水 温】18.0度 【海 上】ナギ~高波 【 潮 】上り・遅い 【釣り人】松原市 川本健人さん 【釣 果...
