最新釣果情報– category –
-
8月 14日の釣果情報です。
【釣り人】四條畷市 金武俊克さん【釣 果】ぐれ 28cm~33.5cm 7匹 【釣り方】フカセ釣り 【水 温】23.1度 【海 上】南の波、高波 【 潮 】下り・速い -
8月 13日の釣果情報です。
ウニ販売開始しました。 早めに、連絡ください。 【釣り人】八尾市 原山輝二さん【釣 果】イシガキ 8匹 本人の希望で、画像無しです。 【釣り方】底物釣り【水 温】23.1度 【海 上】高波 【 潮 】上り・速い -
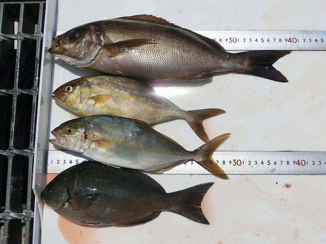
8月 11日の釣果情報です。
久しぶりに、出船しました。 【釣り人】尾張旭市 井上貴博さん【釣 果】ヒレナガカンパチ 47cm 1匹 ツバス、入れ食いでした。 ガシ 4匹【釣り方】ルアー釣り【水 温】26.5度 【海 上】... -
8月 4日の釣果情報です。
【釣り人】南牟婁郡 阪口記生さん【釣 果】石鯛 42cm 1匹 イシガキ 33cm 1匹【釣り方】底物釣り【水 温】27.5度 【海 上】多少波 【 潮 】上り・速い 【釣り人】神戸市 高橋保洋さん【釣 果】チヌ ... -
8月 3日の釣果情報です。
【釣り人】和泉の山ちゃん 【釣 果】イサキ 31cm~36.5cm 2匹 シオ子【釣り方】カゴ釣り【水 温】27.5度 【海 上】多少波 【 潮 】上り・速い 【釣り人】枚方市 岡南次郎さん【釣 果】イシガキ 33.5cm 1匹... -
8月 2日の釣果情報です。
【釣り人】神戸市 高橋保洋さん【釣 果】ぐれ 33cm~35.5cm 2匹 【釣り方】フカセ釣り【水 温】27.5度 【海 上】多少波 【 潮 】上り・遅い 【釣り人】枚方市 岡南次郎さん【釣 果】イシガキ 28.5cm~33cm 3匹【釣り方... -
8月 1日の釣果情報です。
【釣り人】神戸市 高橋保洋さん【釣 果】イサキ 40cm 1匹 シオ子 2匹 尾長 1匹 【釣り方】フカセ釣り【水 温】27.1~28.1度 【海 上】多少波 【 潮 】上り・遅い 【釣り人】桑名... -
7月 31日の釣果情報です。
【釣り人】泉大津市 中島 徹さん【釣 果】アカハタ ~25.5cm 7匹 オオモンハタ 29.2cm 1匹 ガシ 1匹【釣り方】ルアー釣り【水 温】27.1~28.0度 【海 上】多少波 【 潮 】上り・速い  ...