最新釣果情報– category –
-
9 月 10日の釣果情報です。
【釣り人】匿名希望さん【釣 果】アカハタ 25.5cm~31cm 2匹 【釣り方】ルアー釣り【水 温】26.5度 【海 上】ナギ 【 潮 】上り・下り・速い 【釣り人】阿久比町 植山 幹さん【釣 果】オオモンハタ 37.5cm 1匹 ... -
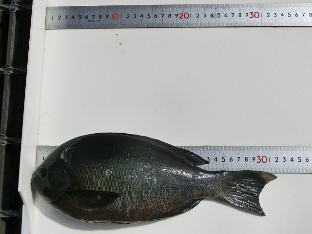
9 月 9日の釣果情報です。
【釣り人】四日市市 千々千 将太さん 【釣 果】ぐれ 32cm 1匹【釣り方】カゴ釣り【水 温】26.5度 【海 上】高波 【 潮 】下り・速い -
9 月 6日の釣果情報です。
【釣り人】南牟婁郡 阪口記生さん【釣 果】石鯛 53.5cm 1匹 【釣り方】底物釣り【水 温】26.4度 【海 上】多少波・北北東の風が強かった。 【 潮 】上り・速い 【釣り人】津市 茨木知之さん【釣 果】ツバス 40cm... -
9 月 5日の釣果情報です。
【釣り人】度会郡 山口侑記さん【釣 果】アカハタ 24cm~28cm 4匹 オオモンハタ 30cm 2匹 ツバス 42cm 1匹【釣り方】ルアー釣り 【水 温】26.5度 【海 上】多少波 【 潮 】上り・下り・速い &nb... -
9 月 4日の釣果情報です。
【釣り人】西川市 松尾 優さん【釣 果】オオモンハタ 31.5cm~41cm 4匹 アカハタ 27.5cm 1匹【釣り方】ルアー釣り【水 温】26.5度 【海 上】ナギ 【 潮 】上り・速い 【釣り人】泉大津市 中島 徹さ... -
9 月 3日の釣果情報です。
【釣り人】名古屋市 吉田一也さん【釣 果】ツバス 43.5cm 2匹 アカハタ・ガシ【釣り方】ルアー釣り【水 温】26.5度 【海 上】ナギ 【 潮 】上り・速い -
9 月 2日の釣果情報です。
朝から、南西の風~西の風後、南西の風に 一日多少の風でした。 【釣り人】田辺市 西川智教さん【釣 果】アカハタ 24.5cm~32cm 12匹【釣り方】ルアー釣り【水 温】26.5度 【海 上】波は、なかったよ。 【 潮 】下り・速い &nb... -
9 月 1日の釣果情報です。
【釣り人】枚方市 岡南次郎さん【釣 果】イシガキ 27.5cm~41.8cm 5匹 【釣り方】底物釣り【水 温】27.5度 【海 上】ナギ 【 潮 】上り・下り・速い